Zemědělské pozemky v k.ú. Sýkořice, 0,6 ha, podíl 1/1
Aukce skončila 10.7.2018
Informace o aukci
| Výměra: | 6 147 m2, Podíl: 1/1 |
| Katastrální území: | Sýkořice |
| Okres: | Rakovník |
| Kraj: | Středočeský kraj |
| Nájemní smlouva: | ne |
Kateřina Jindřichová
Realitní makléř
Realitní makléř
Popis aukce
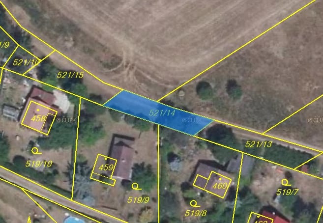
Předmětem aukce jsou pozemky v katastrálním území Sýkořice, okres Rakovník, kraj Středočeský.
Jedná se o pozemky ve výlučném vlastnictví parc. č. 521/14 a 521/31 zapsaných na LV 1419.
Celková výměra nabízených pozemků: 6.147 m2.
Pozemky jsou bez pachtovní smlouvy.
Jedná se o aukci s limitní cenou. Pokud vítězná cena nedosáhne limitní částky, kterou prodávající nezveřejňuje, není prodávající povinen uzavřít kupní smlouvu.
Přehled parcel
| Parcelní číslo | Výměra (m2) | Podíl | Druh pozemku | LV |
|---|---|---|---|---|
| 521/14 | 146 m2 | 1/1 | orná půda | 1419 |
| 521/31 | 6001 m2 | 1/1 | orná půda | 1419 |




Informační materiál
Zjistit cenu zemědělské půdy ZDARMA.